Właśnie w samym sercu Sarbinowa w odległości ok. 480 metrów do morza znajduje się działka budowlana na sprzedaż.
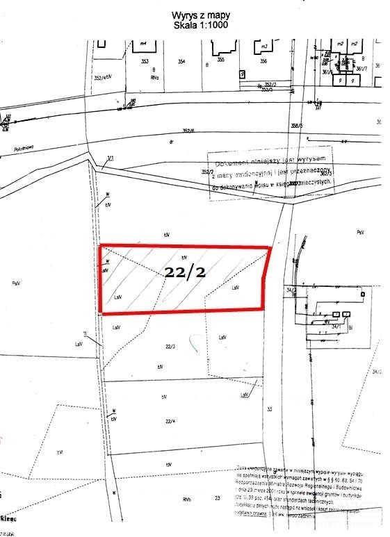
Numer działki: 22/2
Powierzchnia: 3.054 metry kwadratowe
Lokalizacja: ul. Nad Rozlewiskiem w pobliżu ul. Południowej (odległość to ok. 70 metrów)
Dostępne media: woda, prąd i gaz oraz kanalizacja wykonane przez prywatny komitet uzbrojenia terenu, koszt przyłącza należy uzgodnić z przedstawicielem w/w komitetu.
W MPZP o symbolu IV.08.MU: tereny zabudowy mieszkaniowo-usługowej.
W 2025 roku zakończona została procedura odlesienia działki i cały teren będzie do zabudowy według wskaźników MPZP.
Szczegółowy wydruk z MPZP Uchwały Rady Miejskiej w Mielnie dostępny jest na stronie Gaminy Mielno, zainteresowanym prześlemy na e-maila.
Prezentacja nieruchomości po wcześniejszym kontakcie z Pośrednikami odpowiedzialnymi zawodowo za ofertę, nr lic. zaw. 45 lub 21167.
Treść niniejszego ogłoszenia nie stanowi oferty handlowej w rozumieniu Kodeksu Cywilnego. Treść ma charakter informacyjny i zalecamy ich osobistą weryfikację. Kontaktując się z biurem Klient wyraża zgodę na przetwarzanie danych osobowych zgodnie z przepisami ustawy z dnia 29 sierpnia 1997 roku o ochronie danych osobowych / Dz.U.Nr. 133 poz. 883/. Klientowi przysługuje prawo do wglądu do swoich danych osobowych i ich aktualizacji.
Doradca odpowiedzialny za ofertę

Zapytaj o ofertę
Aktualnie w notesie nie znajduje się żadna oferta.