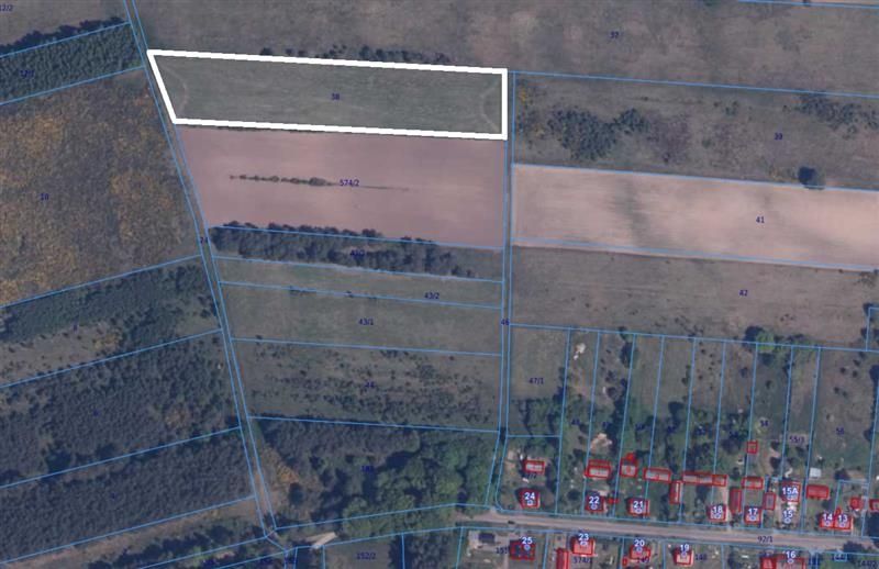
Prezentujemy nieruchomość gruntową o powierzchni 9500 m2, w miejscowości Powidz, w powiecie koszalińskim, w gminie Polanów.
Miejscowość położona jest w odległości 17 km od Polanowa, 20 km od Sianowa, od Koszalina 30 km. Wyróżnia ją przede kameralna społeczność oraz mnóstwo terenów zielonych.
W okolicy znajduje się kilka jezior m. in. : Jezioro Szifa, Jezioro Rekowo.
Działka o wymiarach ok. 218 m x 42 m, usytuowana w odległości ok. 200 m od drogi głównej asfaltowej przebiegającej przez miejscowość.
Media : woda oraz energia w drodze asfaltowej w odległości ok. 240 m.
Teren płaski, bez drzew. Działka nie jest objęta MPZP, w ewidencji oznaczona jako R- grunty orne.
DOJAZD DO DZIAŁKI
https://maps.app.goo.gl/Vuw2ytG55T7wQrAW6
Oferta na wyłączność.
Treść niniejszego ogłoszenia nie stanowi oferty handlowej w rozumieniu Kodeksu Cywilnego. Treść ma charakter informacyjny i zalecamy ich osobistą weryfikację. Kontaktując się z biurem Klient wyraża zgodę na przetwarzanie danych osobowych zgodnie z przepisami ustawy z dnia 29 sierpnia 1997 roku o ochronie danych osobowych / Dz.U.Nr. 133 poz. 883/. Klientowi przysługuje prawo do wglądu do swoich danych osobowych i ich aktualizacji.
Doradca odpowiedzialny za ofertę

Zapytaj o ofertę
Aktualnie w notesie nie znajduje się żadna oferta.